秋田県秋田市南通亀の町(秋田駅)の貸駐車場:物件詳細
交通 所在地 |
駅徒歩 |
賃料 |
敷金/保証金 |
礼金 |
|
秋田新幹線/秋田
秋田県秋田市南通亀の町
|
16分
|
0.88万円
|
なし / なし
|
なし
|
|
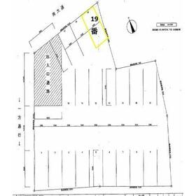
地形図等
|
外観
|
その他の画像
|
| 交通 | 秋田新幹線 秋田駅 徒歩16分 |
| 所在地 |
秋田県秋田市南通亀の町
|
| 物件種目 |
賃貸駐車場 |
| 賃料 |
0.88万円 |
敷金 / 保証金 |
なし / なし |
| 敷引 |
- |
管理費等 |
なし |
| 礼金 |
なし |
保証金償却 |
- |
| その他一時金 |
なし |
保険等 |
- |
| 維持費等 |
- |
| 駐車場名 |
南通第二駐車場 19番 |
| 特記事項 |
- |
| 備考 |
管理形態/管理員の勤務形態:-/-
2025年1月オープンの新しい駐車場です。とめづらい区画です。月の1日からの使用開始の場合で、初期費用は8,800円です。6ヶ月以内の解約、違約金は賃料2ヶ月分の17,600円です。
2025年1月オープンの新しい駐車場です。とめづらい区画です。月の1日からの使用開始の場合で、初期費用は8,800円です。6ヶ月以内の解約、違約金は賃料2ヶ月分の17,600円です。
|
| エネルギー消費性能 |
- |
| 断熱性能 |
- |
| 目安光熱費 |
- |
| 契約期間 |
2年 |
引渡可能時期 |
即時 |
| 現況 |
空 |
更新料 |
- |
| 物件番号 |
1100002702 |
|
|
| 情報公開日 |
2025年7月13日 |
次回更新予定日 |
2025年11月19日 |
| ケータイ用バーコード |
- スマートフォンでこの物件を見る
- スマートフォンからもこの物件をご覧になれます。
|
※「-」と表示されている項目については、情報提供会社にご確認ください。
ここから簡単にお問い合わせをすることができます。
(SSLでの暗号化での送信を希望されるお客さまは
こちら
よりお問い合わせください)
お問い合わせを行う前に
「個人情報の取り扱いについて」を必ずお読みください。
「個人情報の取り扱いについて」に同意いただいた場合は「上記にご同意の上 確認画面へ進む」のボタンをクリックしてください。
個人情報の取り扱いについて
皆さまが送付された個人情報はアットホーム(株)のサーバを経由し、お問い合わせ先の不動産会社にメールまたはFAXにて転送されるためアットホーム(株)にも保管されます。アットホーム(株)で保管された個人情報の取り扱いについては、【こちら】をご覧ください。
また、本画面でご記入いただいた個人情報は、お問い合わせ先の不動産会社でも保管します。 お問い合わせ先の不動産会社が保管する個人情報の取り扱いについては、不動産会社に直接お問い合わせください。
秋田県知事免許(7)第1551号 |
|---|
- 交通:
- 秋田新幹線/秋田駅 徒歩7分
- 秋田県秋田市中通2丁目1-1 2A
- TEL:
- 018-835-0885
- FAX:
- 018-835-0448
- 所属団体:
- (公社)秋田県宅地建物取引業協会会員東北地区不動産公正取引協議会加盟
取引態様:仲介  - 20002879
|
- スマートフォンで
この不動産会社を見る

|
- 提携サイト等より掲載されている物件情報につきましては、不動産会社詳細情報にリンクされていないものがあります。
- 物件に関するお問合せは、物件詳細ページの「情報提供会社」に表示されている不動産会社へ直接お願いいたします。
- 間取図は、現況を優先させていただきます。
- 映像は物件の一部を撮影したものです。物件の契約にあたっての最終判断はご自身の判断に基づいて行ってください。
- 仲介手数料について

アットホームは物件情報の適正化に努めております。
内容に誤りがある場合にはこちらへご連絡ください。