北海道札幌市東区東苗穂八条2丁目の貸店舗:物件詳細
				
					
					
				
														
	
		
			
				交通 所在地 | 
				駅徒歩 | 
				賃料 管理費等 | 
				敷金/保証金 礼金 | 
				使用部分面積 坪数/坪単価 | 
				物件種目 築年月 | 
			
		
		
			
								| 
					 【バス】東苗穂8-1 停歩1分
											 
					北海道札幌市東区東苗穂八条2丁目 
				 | 
								
					 
						− 
					 
				 | 
								
					 
						55万円
					 
					なし 
				 | 
								
					 なし / 6ヶ月 
					なし 
				 | 
								
					 164.25m² 
					49.68坪/1.107万円 
				 | 
								
					 貸店舗・事務所(一括) 
					2009年11月(築16年1ヶ月)
  
				 | 
			
		
	
				
		
					| 
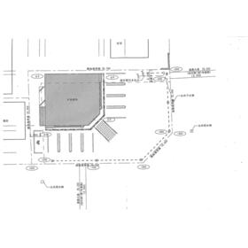
			 間取図 
			
			
			
			
			
		 | 
		
			
			
			
			
			
			
		 | 
				
		
		
			
				
										
						
							 
							その他の画像
						 
					 
					
									 
				
			 
		 | 
	
				
 
	
		
			
									
									          | 交通 | 【バス】 東苗穂8-1 停歩1分  | 
			
				| 所在地 | 
				
				北海道札幌市東区東苗穂八条2丁目
				 | 
			
		
		
			
				| 物件種目 | 
				貸店舗・事務所(一括) | 
			
			
				| 賃料 | 
				55万円 | 
				管理費等 | 
				なし | 
			
			
				| 敷金 / 保証金 | 
				なし / 6ヶ月 | 
				礼金 | 
				なし | 
			
			
				| 敷引 | 
				- | 
				坪単価 | 
				1.107万円 | 
			
			
				| 保証金償却 | 
				- | 
				権利金 | 
				- | 
			
			
				| 造作譲渡 | 
				- | 
				その他一時金 | 
				- | 
			
			
				| 維持費等 | 
				- | 
				保険等 | 
				要 | 
			
					
		
			
				| 使用部分面積 | 
				164.25m² | 
				坪数 | 
				49.68坪 | 
			
			
				| 築年月 | 
				2009年11月(築16年1ヶ月)
				 | 
				階建 / 階 | 
				1階建 / 1階 | 
			
			
				| 駐車場 | 
				有 無料 契約敷地内無料 | 
				バイク置き場 | 
				- | 
			
			
				| 駐輪場 | 
				有 無料 | 
				土地面積 | 
				734.74m²(公簿) | 
			
			
				| 接道状況 | 
				
															北東 25.0m 公道 接面15.4m
																・
										南東 25.0m 公道 接面26.5m
																・
										二方道路
									 | 
				用途地域 | 
				近隣商業 | 
			
			
				| 間取り | 
				- | 
				建物構造 | 
				鉄骨造 | 
			
						
				| 建物名・部屋番号 | 
				仮称)東苗穂8-2テナント 1棟 | 
			
			
				| リフォーム履歴 | 
				- | 
			
			
				| リノベーション履歴 | 
				- | 
			
			
				| 特記事項 | 
				- | 
			
			
				| 備考 | 
				
					 
																	賃貸保証等:加入要(契約時 賃料総額100%。1年毎更新料 賃料総額10%。)
											 						管理形態/管理員の勤務形態:-/-
											 						主要採光面:北東向き
											 						前業種 ピザ店舗 
現況渡し 
LPG指定業者あり 
使用用途 葬儀関係不可 各種要相談
										 
					
				 | 
			
		
				
		
		| エネルギー消費性能 | 
		- | 
	
	
		| 断熱性能 | 
		- | 
	
	
		| 目安光熱費 | 
		- | 
	
	
		
									
				| バス・トイレ | 
				- | 
			
						
				| キッチン | 
				- | 
			
						
				| 設備・サービス | 
				- | 
			
						
				| その他 | 
				- | 
			
					
		
			
				| 契約期間 | 
				3年 | 
				条件等 | 
				- | 
			
			
				| 引渡可能時期 | 
				相談 | 
				現況 | 
				空 | 
			
						
								| 仲介手数料 | 
				1ヶ月 | 
													  | 
					  | 
							
						
				| 更新料 | 
				なし | 
				物件番号 | 
				6986725782 | 
			
			
				| 情報公開日 | 
				2025年9月22日 | 
				次回更新予定日 | 
				2025年11月17日 | 
			
						
				| ケータイ用バーコード | 
				
				
					
					
					
					- スマートフォンでこの物件を見る
 
					- スマートフォンからもこの物件をご覧になれます。
 
					 
				 
				 
				 | 
			
					
	 
	 									※「-」と表示されている項目については、情報提供会社にご確認ください。
						
	
			
				
				
			
			
				
					
						
							| 周辺施設 | 
							幼保連携型認定こども園さつなえのもり | 
						
						
							| 距離 | 
							81m | 
													
					
				
			 
		 
					
		 
		 									
												
					
					  ここから簡単にお問い合わせをすることができます。
(SSLでの暗号化での送信を希望されるお客さまは
													こちら
											  よりお問い合わせください)
					  
					
						
						
					
					お問い合わせを行う前に
「個人情報の取り扱いについて」を必ずお読みください。
「個人情報の取り扱いについて」に同意いただいた場合は「上記にご同意の上 確認画面へ進む」のボタンをクリックしてください。 
 
					
					
						個人情報の取り扱いについて
						皆さまが送付された個人情報はアットホーム(株)のサーバを経由し、お問い合わせ先の不動産会社にメールまたはFAXにて転送されるためアットホーム(株)にも保管されます。アットホーム(株)で保管された個人情報の取り扱いについては、【こちら】をご覧ください。
						また、本画面でご記入いただいた個人情報は、お問い合わせ先の不動産会社でも保管します。 お問い合わせ先の不動産会社が保管する個人情報の取り扱いについては、不動産会社に直接お問い合わせください。
					 
				 
				
														
				  
				  
					北海道知事免許 石狩(8)第5740号  | 
|---|
- 交通:
 - 札幌市南北線/北34条駅 徒歩12分
 - 北海道札幌市北区北三十三条西10丁目2-19 
 - TEL:
 - 011-299-1404
 - FAX:
 - 011-299-1405
 - 所属団体:
 - (公社)北海道宅地建物取引業協会会員(一社)全国賃貸不動産管理業協会会員(一社)北海道不動産公正取引協議会加盟
 
 取引態様:仲介  - 10001265
 
  | 
						  						  
							
							  
								- スマートフォンで
 この不動産会社を見る 
								    
							   
							 
						   | 
						  						
					  
					 
				   
				 
							
						
												
			
					
- 提携サイト等より掲載されている物件情報につきましては、不動産会社詳細情報にリンクされていないものがあります。
 
- 物件に関するお問合せは、物件詳細ページの「情報提供会社」に表示されている不動産会社へ直接お願いいたします。
 
- 間取図は、現況を優先させていただきます。
 
- 映像は物件の一部を撮影したものです。物件の契約にあたっての最終判断はご自身の判断に基づいて行ってください。
 
- 仲介手数料について

 
アットホームは物件情報の適正化に努めております。
内容に誤りがある場合にはこちらへご連絡ください。