愛知県瀬戸市弁天町(瀬戸口駅)の貸土地:物件詳細

  • 物件詳細
  • 情報の見方
  • 印刷用画面
交通
所在地
駅徒歩 賃料
坪単価
敷金/保証金
礼金
土地面積(坪数)
最適用途
建ぺい率
容積率

愛知環状鉄道/瀬戸口

愛知県瀬戸市弁天町

19分

13万円

0.05万円

3ヶ月 / なし

なし

1,050.00m² (317.62坪)

資材置場用地

60%

200%

おすすめコメント

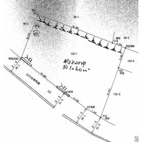
間口約45m,バラスにて整形済、資材置場・トラック置場に最適。大型トラック通行可です。

地形図等

地形図等

その他の画像
    • お問い合わせ
    交通

    愛知環状鉄道 瀬戸口駅 徒歩19分

    所在地 愛知県瀬戸市弁天町
    物件種目 貸地
    賃料 13万円 管理費等 なし
    敷金 / 保証金 3ヶ月 / なし 礼金 なし
    坪単価 0.05万円 敷引
    保証金償却 権利金
    維持費等 その他一時金
    保険等    
    土地面積 1,050.00m²(公簿) 坪数 317.62坪
    私道負担面積 都市計画 調整区域
    用途地域 最適用途 資材置場用地
    建ぺい率 60% 容積率 200%
    地勢 接道状況
    地目 雑種地 セットバック
    アピールポイント 間口約45m,バラスにて整形済、資材置場・トラック置場に最適。大型トラック通行可です。
    特記事項
    備考
    管理形態/管理員の勤務形態:-/-
    ・家賃保証会社加入要
    ・契約期間3年(自動更新)
    エネルギー消費性能
    断熱性能
    目安光熱費
    バス・トイレ
    設備・サービス
    その他
    契約期間 3年 条件等
    引渡可能時期 相談 現況 更地
    更新料 物件番号 6983133023
    情報公開日 2025年11月16日 次回更新予定日 2025年12月14日
    ケータイ用バーコード

    QRコード

    スマートフォンでこの物件を見る
    スマートフォンからもこの物件をご覧になれます。
    ※「-」と表示されている項目については、情報提供会社にご確認ください。

    クイックお問い合わせ

    ここから簡単にお問い合わせをすることができます。
    (SSLでの暗号化での送信を希望されるお客さまは こちら よりお問い合わせください)

    お問い合わせ内容(必須)
    お名前・ご担当者様名(必須) 姓  名 
    メールアドレス(必須)
    ※携帯電話のメールアドレスをご入力される方はこちらをご確認ください
    電話番号(必須)
    - -
    備考欄 希望条件、物件案内希望日、質問などがございましたらご記入ください。
    お問い合わせを行う前に「個人情報の取り扱いについて」を必ずお読みください。
    「個人情報の取り扱いについて」に同意いただいた場合は「上記にご同意の上 確認画面へ進む」のボタンをクリックしてください。

    個人情報の取り扱いについて

    皆さまが送付された個人情報はアットホーム(株)のサーバを経由し、お問い合わせ先の不動産会社にメールまたはFAXにて転送されるためアットホーム(株)にも保管されます。アットホーム(株)で保管された個人情報の取り扱いについては、【こちら】をご覧ください。
    また、本画面でご記入いただいた個人情報は、お問い合わせ先の不動産会社でも保管します。 お問い合わせ先の不動産会社が保管する個人情報の取り扱いについては、不動産会社に直接お問い合わせください。

    情報提供会社

    情報提供会社

    トリトンの住宅販売((株)トリトン)

    愛知県知事免許(5)第20104号

    交通:
    名鉄瀬戸線/瀬戸市役所前駅 徒歩1分
    愛知県瀬戸市追分町37-3 
    TEL:
    0561-89-5076
    FAX:
    0561-84-8872
    所属団体:
    (公社)愛知県宅地建物取引業協会会員
    東海不動産公正取引協議会加盟

    取引態様:仲介

    • 会社情報
    • お店の様子を動画で見る
    • 40007529
    スマートフォンで
    この不動産会社を見る
    QRコード
    • お問い合わせ
    • 提携サイト等より掲載されている物件情報につきましては、不動産会社詳細情報にリンクされていないものがあります。
    • 物件に関するお問合せは、物件詳細ページの「情報提供会社」に表示されている不動産会社へ直接お願いいたします。
    • 間取図は、現況を優先させていただきます。
    • 映像は物件の一部を撮影したものです。物件の契約にあたっての最終判断はご自身の判断に基づいて行ってください。
    • 仲介手数料について仲介手数料

    アットホームは物件情報の適正化に努めております。 内容に誤りがある場合にはこちらへご連絡ください。


    アットホームのページへ
    物件画像: