愛知県大府市追分町2丁目(共和駅)の貸土地:物件詳細
交通 所在地 |
駅徒歩 |
賃料 坪単価 |
敷金/保証金 礼金 |
土地面積(坪数) 最適用途 |
建ぺい率 容積率 |
|
東海道本線/共和
愛知県大府市追分町2丁目
|
14分
|
69.8万円
0.32万円
|
なし / 6ヶ月
なし
|
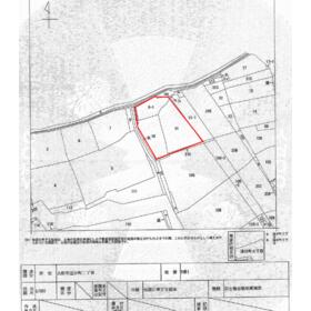
728.07m²
(220.24坪)
店舗用地
|
60%
200%
|
| 交通 | 東海道本線 共和駅 徒歩14分 |
|---|
| その他の交通 | 東海道本線 大府駅 徒歩30分 武豊線 大府駅 徒歩30分 |
| 所在地 |
愛知県大府市追分町2丁目
|
| 物件種目 |
貸地 |
| 賃料 |
69.8万円 |
管理費等 |
なし |
| 敷金 / 保証金 |
なし / 6ヶ月 |
礼金 |
なし |
| 坪単価 |
0.32万円 |
敷引 |
- |
| 保証金償却 |
- |
権利金 |
- |
| 維持費等 |
- |
その他一時金 |
- |
| 保険等 |
- |
|
|
| 土地面積 |
728.07m²(公簿) |
坪数 |
220.24坪 |
| 私道負担面積 |
- |
都市計画 |
市街化区域 |
| 用途地域 |
準工業 |
最適用途 |
店舗用地 |
| 建ぺい率 |
60% |
容積率 |
200% |
| 地勢 |
- |
接道状況 |
-
|
| 地目 |
宅地 |
セットバック |
- |
| アピールポイント |
旧自動車整備工場。現状の建物を解体しても利用してもどちらでもOK!要相談! |
| 特記事項 |
- |
| 備考 |
管理形態/管理員の勤務形態:-/-
|
| エネルギー消費性能 |
- |
| 断熱性能 |
- |
| 目安光熱費 |
- |
| バス・トイレ |
- |
| 設備・サービス |
上水道、電気、側溝 |
| その他 |
- |
| 契約期間 |
10年 |
条件等 |
- |
| 引渡可能時期 |
即時 |
現況 |
建物有 |
| 更新料 |
- |
物件番号 |
6990058999 |
| 情報公開日 |
2026年3月25日 |
次回更新予定日 |
2026年4月8日 |
| ケータイ用バーコード |
- スマートフォンでこの物件を見る
- スマートフォンからもこの物件をご覧になれます。
|
※「-」と表示されている項目については、情報提供会社にご確認ください。
| 周辺施設 |
ローソン大府東山小学校前店 |
| 距離 |
625m |
| 周辺施設 |
松屋大府店(松のや併設) |
| 距離 |
752m |
ここから簡単にお問い合わせをすることができます。
(SSLでの暗号化での送信を希望されるお客さまは
こちら
よりお問い合わせください)
お問い合わせを行う前に
「個人情報の取り扱いについて」を必ずお読みください。
「個人情報の取り扱いについて」に同意いただいた場合は「上記にご同意の上 確認画面へ進む」のボタンをクリックしてください。
個人情報の取り扱いについて
皆さまが送付された個人情報はアットホーム(株)のサーバを経由し、お問い合わせ先の不動産会社にメールまたはFAXにて転送されるためアットホーム(株)にも保管されます。アットホーム(株)で保管された個人情報の取り扱いについては、【こちら】をご覧ください。
また、本画面でご記入いただいた個人情報は、お問い合わせ先の不動産会社でも保管します。 お問い合わせ先の不動産会社が保管する個人情報の取り扱いについては、不動産会社に直接お問い合わせください。
愛知県知事免許(3)第23049号 |
|---|
- 交通:
- 東海道本線/大府駅 徒歩18分
- 愛知県大府市共和町3丁目18-14
- TEL:
- 0120-932-912
- FAX:
- 0562-85-6868
- 所属団体:
- (公社)愛知県宅地建物取引業協会会員東海不動産公正取引協議会加盟
取引態様:貸主  - 40407067
|
- スマートフォンで
この不動産会社を見る

|
- 提携サイト等より掲載されている物件情報につきましては、不動産会社詳細情報にリンクされていないものがあります。
- 物件に関するお問合せは、物件詳細ページの「情報提供会社」に表示されている不動産会社へ直接お願いいたします。
- 間取図は、現況を優先させていただきます。
- 映像は物件の一部を撮影したものです。物件の契約にあたっての最終判断はご自身の判断に基づいて行ってください。
- 仲介手数料について

アットホームは物件情報の適正化に努めております。
内容に誤りがある場合にはこちらへご連絡ください。